Woke up to another beautiful sunny day. Unfortunately the beaches websites were still saying the only beaches swimmable were South. So much for my plans to stay north to hit the good beaches!!! We weren't going to drive south, so we decided to go back to Anini.
Back to our favorite spot on the beach.
looking left
heading in
I think this is a very young wrasse, but I'm not sure what kind. Will have to research it when I have more time.
This little guy was scurrying fast to hide from me. Looked like some kind of invertebrate. (perhaps a mantis shrimp?)
One of the things I like about Anini is it's like a big nursery for fish. And so many of the juveniles look nothing like the adults. This one does resemble it's parents, but is still somewhat different---racoon butterflyfish
This guy was a good size, though. White mouth moray eel.
a couple white spotted tobies.
A general view of the near reef and the baby fish.
usually I just include one picture, but I love the design he made when he was swimming.
don't often see them swimming so much.
One last picture of him.
very young yellow tail choris
a full grown dascyllus being cleaned by a yellow headed cleaner wrasse.
a nice coral head where the 2 cleaner wrasses and a bunch of dascylluses live.
close up of the cleaner wrasse.
juvenile Hawaiian hogfish---this is the first time I've seen one in this stage of life!
So that deserves 2 pictures.
Today we went farther out than usual. There was a bit of a current, but it was pushing us back into the bay, so we ventured out. It just got even more shallow and frankly rather boring.
So we started drifting back and came across a really great area of coral! this was the beginning of it---and a bunch more baby fish---like the tiny cigar wrasse.
assortment of tiny fish.
a juvenile peacock grouper.
for some reason, groupers and eels like to hang around together.
a juvenile yellow stripe wrasse--another juvenile I hadn't seen before.
so he gets another picture, too.
juvenile yellow tang. Don't often see tangs around Kauai.
more of it. In all our years coming to Anini, this is the first time we've come across this area. I bet at one time all of Anini looked like this!
I believe this is another white spotted toby, but with a lot more black then most of them have.
blue coral
a teardrop butterflyfish
4 spot butterflyfish
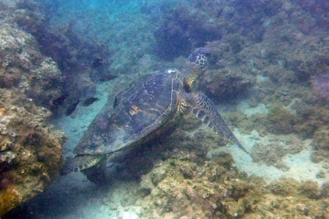
I was surprised we hadn't seen any turtles here---then we came across this one being cleaned.
and this one coming up for air. Then we saw a 3rd one. Good to know they're still here.
by now we had been in the water about 3 hours, so we decided to head in. This flounder was about 20 ft. from the shoreline.
a short distance from the one above was this much smaller one. This one was also darker.
back on land a few of these guys joined us. I don't know what they are, but I haven't seen any birds like them before. (I'm told this little guys is a Chestnut Munia).
Back at The Cliffs, we hit the pool for a bit. This pool is very convenient to our room, so it's nice hitting it after snorkeling, then walking to our condo. The Cliffs had a Managers Greeting at 5, so we went to check it out. It was very nice! They even had little meatballs, veggies and ranch dressing, and tortilla chips with a really good layered dip. They also served all the Mai Tai's and wine you could drink. I only had 2, but they were really good. Probably would have had more but we were talking too much. Met a couple young ladies who had never been to Kauai before. Had a really nice conversation with them. Turns out they're in the room right below us.
About 6:30 we parted ways and Ken and I drove off to find sunset. Ended up by the lookout near the St. Regis. Great place for sunset.
not many clouds, but conditions were good for a "green flash".
Love the view of Bali Hai.
and, YES, the green "flash". Not really a flash, just a bit of green as it finishes sinking into the ocean.
Looking back at the lookout while waiting for Ken to come back and pick me up.
We noticed this place near the lookout, so we decided to check it out.
nice ambiance.
complimentary bread with an oil and balsamic vinegar dip.
We got the meat lovers pizza. It was quite good. Service was a little slow, but not so bad that we'd never go back.
When I was planning this trip, I debated on staying at the Wyndham Shearwater Resort in Princeville. It's suppose to be their flagship resort here, so is usually hard to get into. I didn't have enough Wyndham points for a full price week and didn't know if it would be available for my VIP 50% off privilege at 60 days out---so I took The Cliffs exchange when it was available. But within 60 days out, I was able to book a couple nights at the Shearwater for the discounted points and a free upgrade from the 2 bedroom to a 2 bedroom presidential reserve unit. But with all the running we did, we didn't check in until about 9 pm. Compared to The Cliffs, I'd say this unit is probably nicer---but I'm leaning towards the Cliffs having better activities and hospitality. But I've always wanted to see the Shearwater units, so I figured this was the time to do it. Pictures of it to follow tomorrow.

















































We stayed at Pali Ke Kua last September and really enjoyed it! Loved the unit we stayed in other than it was really hot! If you are a guest there is a nice paved path down to Hideaways Beach - nice but extremely steep! It is a gorgeous beach with really nice snorkeling. You should definitely check it out if you are able. I know there is another public path down to the beach somewhere. Love you pics!
ReplyDeleteThose condos look like they have great sunset views. I stood on the lawns there once and took pictures a couple years ago. Didn't know about the paved path from there. Hubby doesn't do hills too well, so I doubt I'll get to try it.
Delete